Trang chủ > Bán đất > Hà Nội > Long Biên

Bán 124m2 đất lô góc tặng nhà cấp 4 mặt tiền 23m đang cho thuê. Đường 13m khu Thạch Cầu.

Khu vực: Long Biên- Hà Nội

Giá: 4.56 tỷ    Diện tích: 124 m²

Thông tin mô tả

Bán 124m2 đất lô góc tặng nhà cấp 4 mặt tiền 23m đang cho thuê. Đường 13m khu Thạch Cầu. 4,56 tỷ
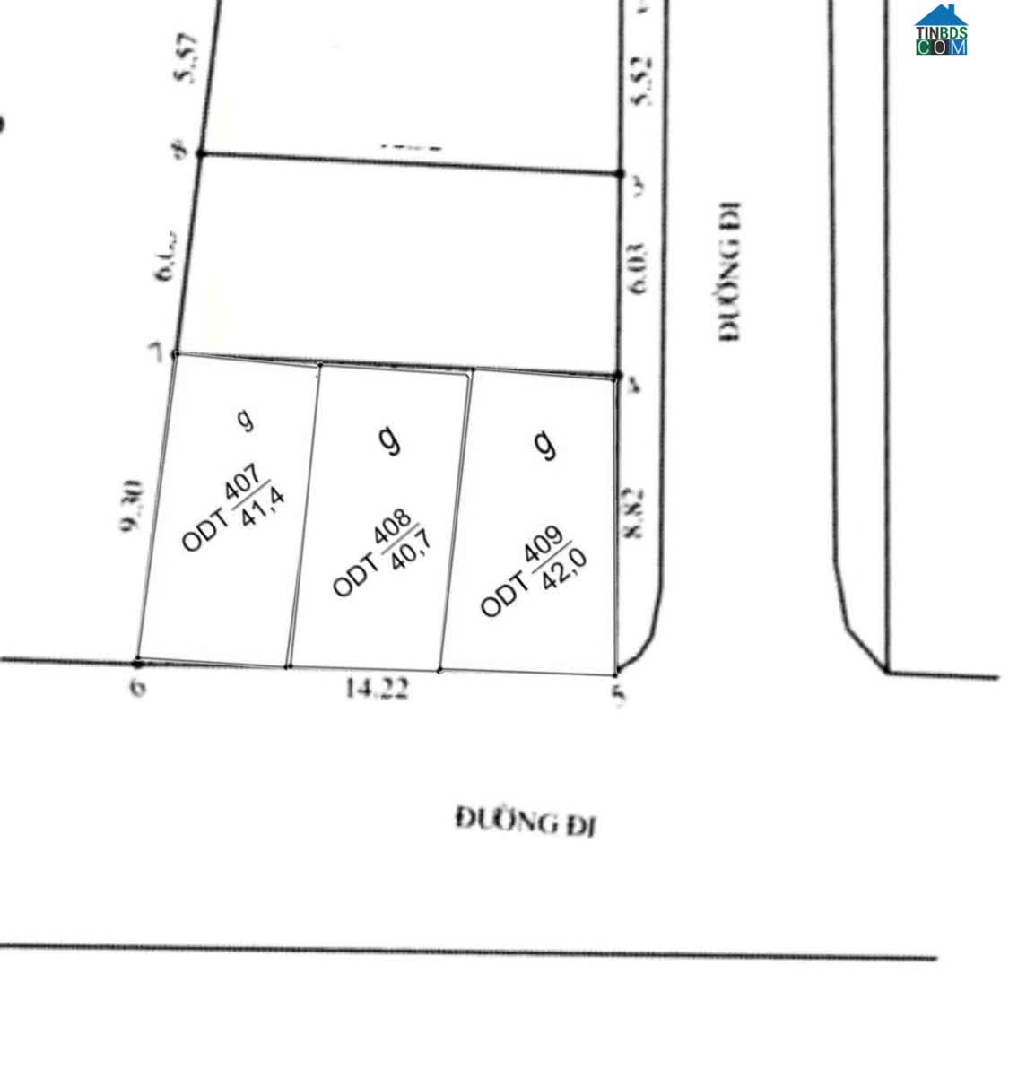
Bán 124m² đất, lô góc, tặng nhà cấp 4, điện, nước máy đầy đủ. Đang cho thuê 10 triệu/tháng; Một chiều rộng 14,2 mét (mặt đường chính, đường rộng 13 mét) và một chiều rộng 8,8 mét (mặt đường phụ, đường nhựa rộng 6 mét, hai bên có vỉa hè và đèn đường); Mặt đường Giếng Nhật, Thạch Cầu phía Giếng Nhật và khu dân cư,
Đất xen kẹt, chưa sổ, đã được kê khai ODT (đất ở đô thị), có số lô số thửa rõ ràng.
Đất cách cầu Trần Hưng Đạo 500m, cách chợ và trường mầm non Thạch cầu 100m, chỉ 8 phút là vào trung tâm phố cổ.
Rất đẹp.
Đất mua đầu tư sau xây biệt thự thì quá đẹp hoặc có thể chia nhỏ thành từ 2 đến 4 mảnh (đã tách thành 3 lô). Cực dễ thanh khoản.
Mua cả, giá 38 triệu/m². Mua lẻ, lô góc 40 triệu /m², các lô còn lại 38 triệu/m². Đất đẹp vô cùng. Liên hệ ngay sdt 0862 012 897 kẻo hết.

Thông tin bất động sản

Địa chỉ
Đường Thạch Cầu, Long Biên
Address
Thach Cau Street, Long Bien District, Ha Noi City
Ngày đăng tin
19/10/2025
Ngày hết hạn
19/11/2025

Liên hệ

Tên liên lạc
Điện thoại
0286.2012.897 / 0399 253 665
Địa chỉ liên hệ
hà đông, hà nội
Contact address
Hoai Duc District, Ha Noi City

Bán đất tại Long Biên - Hà Nội

Bán Đất 110m2, hướng Nam, Long Biên, 15 tỉ,
Bán Đất 110m2, hướng Nam, Long Biên, 15 tỉ,

Vị trí: Nhà trong ngõ cách phố Lò Đúc 30m, phường Đồng Nhân, quận Hai Bà Trưng, Hà Nội Diện tích: 36m2, hướng Nam, đầy đủ sổ đỏ Mô tả chi tiết: Nhà 5 tầng, c..

Giá: 14.8 tỷ

Diện tích: 110 m²

Địa điểm: Long Biên, Hà Nội

Ngày đăng: 19/1/2026

Bán Đất Long Biên, 110m2, 18 tỉ, hướng Nam
Bán Đất Long Biên, 110m2, 18 tỉ, hướng Nam

Vị trí: Nhà trong ngõ cách phố Lò Đúc 30m, phường Đồng Nhân, quận Hai Bà Trưng, Hà Nội Diện tích: 36m2, hướng Nam, đầy đủ sổ đỏ Mô tả chi tiết: Nhà 5 tầng, c..

Giá: 18.5 tỷ

Diện tích: 110 m²

Địa điểm: Long Biên, Hà Nội

Ngày đăng: 13/1/2026

Đất Long Biên 110m2, 18 tỉ Hướng Nam
Đất Long Biên 110m2, 18 tỉ Hướng Nam

Vị trí: Nhà trong ngõ cách phố Lò Đúc 30m, phường Đồng Nhân, quận Hai Bà Trưng, Hà Nội Diện tích: 36m2, hướng Nam, đầy đủ sổ đỏ Mô tả chi tiết: Nhà 5 tầng, c..

Giá: 18 triệu

Diện tích: 110 m²

Địa điểm: Long Biên, Hà Nội

Ngày đăng: 11/1/2026

Quận huyện trực thuộc Hà Nội

Phường xã trực thuộc Long Biên

Ghi chú về Bán 124m2 đất lô góc tặng nhà cấp 4 mặt tiền 23m đang cho thuê. Đường 13m khu Thạch Cầu.

Thông tin về Bán 124m2 đất lô góc tặng nhà cấp 4 mặt tiền 23m đang cho thuê. Đường 13m khu Thạch Cầu. liên tục được cập nhật tại tinbds.com. Nếu bạn thấy thông tin không chính xác hoặc có dấu hiệu lừa đảo, vui lòng báo với ban quản trị website tinbds.com. Chúng tôi xin chân thành cảm ơn đóng góp của bạn.
Từ khóa tìm kiếm:
Bán 124m2 đất lô góc tặng nhà cấp 4 mặt tiền 23m đang cho thuê. Đường 13m khu Thạch Cầu. 4, 56 tỷ Bán 124m² đất, lô góc, tặng nhà cấp 4, điện, nước máy đầy đủ..