Win Star Hàng Trạm
Diện tích 2,14 ha
Loại dự án: Khu căn hộ
Address: Hang Tram Town, Yen Thuy District, Hoa Binh Province
Thông tin tổng quan

Chi tiết dự án Win Star Hàng Trạm
Mặt Bằng - Thiết Kế
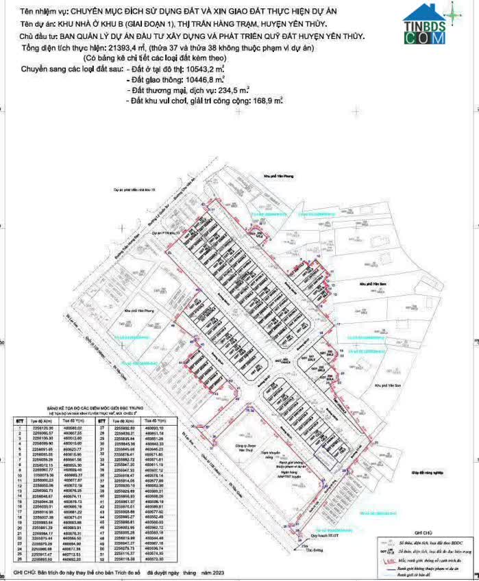
Mặt bằng và thiết kế dự án Win Star Hàng Trạm được quy hoạch trên tổng diện tích 21. 393,4 m². Trong đó, diện tích đất ở chiếm 10. 543,2 m²; đất giao thông 10. 446,8 m²; đất thương mại dịch vụ 234,5 m²; và đất khu vui chơi, giải trí công cộng 168,9 m².
Về sản phẩm, dự án cung cấp tổng cộng 86 lô, bao gồm nhà phố thương mại (shophouse) với 48 căn, xây dựng 3,5 tầng, diện tích dao động từ 97,9 m² đến 200,7 m²; 4 căn biệt thự xây dựng 2,5 tầng, diện tích từ 229,4 m² đến 245,3 m²; cùng 35 lô đất nền, trong đó có 34 lô liền kề và 1 lô biệt thự.



Tiện Ích
Hệ thống tiện ích tại Win Star Hàng Trạm được đầu tư với các hạng mục cơ bản như khu thương mại dịch vụ, khu vui chơi giải trí và không gian cây xanh cảnh quan. Từ vị trí dự án, cư dân có thể dễ dàng kết nối và tiếp cận các tiện ích hiện hữu trong khu vực như trung tâm hành chính, bến xe, trường học, chợ và nhiều dịch vụ thiết yếu khác.
Bản đồ vị trí dự án Win Star Hàng Trạm
Dự án Win Star Hàng Trạm tọa lạc tại thị trấn Hàng Trạm, huyện Yên Thủy, liền kề trung tâm hành chính huyện Yên Thủy. Về vị trí tiếp giáp, phía Tây Nam của dự án giáp đường Quốc lộ 12B và khu dân cư; phía Tây Bắc giáp khu dân cư khu phố Yên Phong; phía Đông Bắc giáp khu dân cư hiện hữu; và phía Đông Nam giáp tuyến đường bê tông.

Hình ảnh dự án Win Star Hàng Trạm





Xem thêm:
Ghi chú về dự án Win Star Hàng Trạm
Từ khóa tìm kiếm:
Win Star Hàng Trạm, địa chỉ: Thị trấn Hàng Trạm, Huyện Yên Thủy, Hòa Bình.. Address: Hang Tram Town, Yen Thuy District, Hoa Binh Province Huyện Yên Thủy,...
Xem trên Google Maps