Đào Tấn Diamond City
Số căn 29 căn
Diện tích 6. 339,5 m²
Loại dự án: Biệt thự - liền kề
Address: Dao Tan - Tran Thai Tong Street, Truong An Ward, Hue City, Thua Thien Hue Province
Thông tin tổng quan

Chi tiết dự án Đào Tấn Diamond City
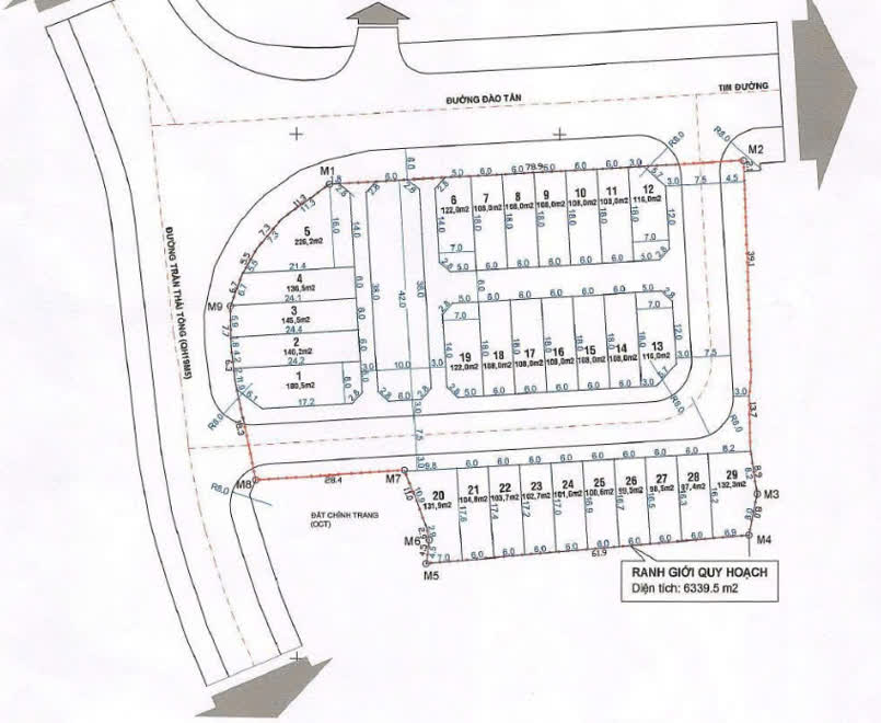
Thiết Kế - Mặt Bằng
Dự án Đào Tấn Diamond City có tổng diện tích 6. 339,5 m², được quy hoạch khoa học và phân chia thành các hạng mục cụ thể như sau:
-
Đất ở đô thị: 3. 463,9 m²
-
Đất xây dựng nhà ở hỗn hợp: 2. 390,9 m²
-
Đất xây dựng nhà ở liền kế: 1. 073,0 m²
-
-
Đất giao thông: 1. 923,8 m²
-
Đất khu vui chơi, cây xanh và vườn hoa: 412,0 m²
-
Đất công trình công cộng và hạ tầng kỹ thuật (cấp điện, cấp nước, thoát nước... ): 539,8 m²
Loại hình sản phẩm: Nhà ở liền kề xây dựng đồng bộ, tối thiểu hoàn thiện phần thô và mặt ngoài.
Tổng số sản phẩm: 29 lô, gồm:
-
19 lô đất ở hỗn hợp (Shophouse): diện tích 108,0 m² – 226,2 m²
-
10 lô đất ở liền kề: diện tích 97,4 m² – 132,3 m²


Tiện Ích
Dự án được đầu tư hệ thống hạ tầng và tiện ích nội khu hoàn chỉnh, tạo nên môi trường sống hiện đại và tiện nghi:
-
Hệ thống đường bao quanh dự án rộng 26 m
-
Đường nội bộ rộng 17,5 m
-
Vỉa hè lát đá, kết hợp cây xanh cảnh quan
-
Hệ thống điện – nước đầy đủ và đồng bộ
-
Công viên nội khu
-
Trung tâm thương mại – dịch vụ
-
Khu vui chơi trẻ em
-
Khu sinh hoạt cộng đồng
Tổng thể mặt bằng và tiện ích giúp Đào Tấn Diamond City trở thành khu dân cư văn minh, phù hợp an cư lâu dài lẫn đầu tư.
Bản đồ vị trí dự án Đào Tấn Diamond City
Dự án Đào Tấn Diamond City tọa lạc trên mặt tiền đường Đào Tấn – Trần Thái Tông, thuộc phường Trường An, thành phố Huế. Vị trí dự án được đánh giá cao nhờ tiếp giáp và kết nối thuận tiện với nhiều khu vực lân cận.
Tiếp giáp khu vực:
-
Phía Bắc: giáp đường Đào Tấn
-
Phía Nam: giáp khu dân cư hiện hữu
-
Phía Đông: giáp khu dân cư
-
Phía Tây: giáp đường Trần Thái Tông
Kết nối tiện ích vùng:
-
Cách Trường Quốc Học Huế và Đại học Huế từ 1–2 km
-
Cách Bệnh viện Trung ương Huế khoảng 1,2 km
-
Cách Vincom Huế, BigC và chợ Đông Ba trong bán kính 1–2,5 km
-
Cách UBND TP. Huế, ngân hàng và bưu điện khoảng 2 km
-
Cách công viên Thương Bạc và phố đi bộ Nguyễn Đình Chiểu khoảng 2 km
Vị trí này giúp cư dân dễ dàng tiếp cận giáo dục, y tế, thương mại và các tiện ích giải trí quan trọng của thành phố.
Hình ảnh dự án Đào Tấn Diamond City




Xem thêm:
Ghi chú về dự án Đào Tấn Diamond City
Từ khóa tìm kiếm:
Đào Tấn Diamond City, địa chỉ: Đường Đào Tấn – Trần Thái Tông, Phường Trường An, Thành phố Huế, Thừa Thiên Huế.. Address: Dao Tan - Tran Thai Tong Street,...
Xem trên Google Maps